Применение малоинвазивных методик в косметологии с целью повышения партисипативности пациентов

17.12.2019
Статья
8494
9 мин на прочтение
Статья
17.12.2019
8494
9 мин на прочтение
Большинство процедур в косметологии направлены на увеличение синтеза нового молодого коллагена. В статье профессор Яна Юцковская предлагает новые протоколы и продукты для снижения реабилитационного периода у пациентов при сохранении высокой эффективности.

Введение

Современная медицина делает все больше шагов в сторону «медицины будущего», которая, как известно, базируется на принципах 4П – предсказательности (predictive), превентивности (precautionary), персонализации (personification) и партисипативности (participatory), или приверженности лечению1.

Косметология, как одна из наиболее стремительно развивающихся областей медицины, демонстрирует успешное внедрение этих принципов. Так, на современном этапе, мы все чаще обсуждаем вопросы профилактики возрастных изменений кожи нежели борьбу с уже имеющимися признаками старения. Опросы пациентов также показывают большую осознанность и готовность к профилактике среди «миллениалов». Например, ежегодное исследование членов Американской академии лицевой пластической и реконструктивной хирургии (AAFPRS) показало, что у 72 % лицевых пластических хирургов наблюдается рост интереса к косметическим процедурам у пациентов в возрасте до 30 лет2.

Это исследование также показывает, что современные молодые женщины и мужчины больше интересуются неинвазивными и малоинвазивными косметическими процедурами для предотвращения старения. Вот так и получается, что меньшая травматизация кожного покрова гарантирует большую партисипативность пациентов, что еще больше приближает современную косметологию к «медицине будущего».

Целью большинства процедур в косметологии, направленных на борьбу со старением кожи, является увеличение синтеза нового молодого коллагена – неоколлагеногенез.

Однако если вспомнить, как и за счет чего происходит транскутанная индукция синтеза коллагена, станет понятно, что травма все-таки нам необходима3:

Получается, раз мы не можем исключить травматизацию, мы должны стремиться минимизировать ее, чтобы не снизить партисипативность пациентов. Очень часто нам приходится компенсировать относительно низкий уровень травмы введением в дерму гиалуроновой кислоты и других компонентов, что в свою очередь тоже имеет ряд ограничений в направлении партисипативности. Часть пациентов не готова к длительному реабилитационному периоду, наличию папул и гематом.

Все это мотивирует компании и специалистов эстетической медицины разрабатывать новые протоколы и продукты для снижения реабилитационного периода у пациентов при сохранении высокой эффективности.

Отличным примером является продукт Perfoskin от разработчика и производителя решений в эстетической медицине – компании Hyalual.

Преимущества Perfoskin перед другими продуктами для качества кожи:

  • реабилитационный период без папул и синяков за счет стерильных ультратонких игл с лазерной заточкой и длиной 1,2 мм;
  • в 30 раз больше проколов (травма → индукция синтеза коллагена) и в три раза меньше длительность процедуры за счет специального доставочного устройства;
  • возможность работы с двумя слоями кожи (дерма и эпидермис) в трех зонах (лицо, шея, декольте) за одну процедуру.

Perfoskin® Complex состоит из Perfoskin® Device и Perfoskin® Prederm:

  • Perfoskin® Device – это устройство для трансдермальной доставки, позволяет осуществлять проколы и подачу препарата одномоментно. Представляет собой систему каналов, лунок и 48 ультратонких игл с лазерной заточкой, длиной 1,2 мм из нержавеющей стали медицинского класса для одноразового использования.
  • Perfoskin® Prederm – это контейнер с гелем объемом 5 мл, содержащий 80 мг сукцината натрия на основе гиалуроновой кислоты.

Янтарная кислота, являясь продуктом цикла трикарбоновых кислот, сочетает в себе свойства активного антиоксиданта и антигипоксанта. Переводя энергетический обмен на более экономный путь, она способствует сохранению энергетических резервов кожи. Янтарная кислота нормализует содержание медиаторов воспаления гистамина и серотонина, повышает микроциркуляцию в органах и тканях без изменения системной гемодинамики. Вводимый извне сукцинат оказывает умеренное антигипоксическое действие, улучшая акцепцию циркулирующего кислорода и повышая устойчивость к гипоксии. В процессе катаболизма сукцината происходит утилизация других органических кислот, что способствует восстановлению кислотно-щелочного равновесия и обеспечивает профилактику развития воспалительного ацидоза, например, после избыточной инсоляции. Влияя на цикл Кребса, она способствует снижению образования молочной и пировиноградной кислот, появляющихся в условиях кислородной недостаточности (гипоксии)6,7,8. Кроме того, для получения всего пула органических кислот цикла Кребса достаточным оказалось введение одного сукцината. Многочисленные опыты показали, что мощность системы энергопродукции, использующей янтарную кислоту как основной субстрат, в сотни раз превосходит другие системы энергообразования в организме9. Еще одно свойство янтарной кислоты – это способность подавлять рост опухолей и регулировать деление клеток, благодаря своему антиоксидантному действию10.

Примечательно, что SUCNR1 рецепторы идентифицированы практически во всех органах и тканях – жировой ткани, печени, почках, сердце, головном мозге, нейронах сетчатки, дендритных клетках, тромбоцитах – и на современном этапе рассматриваются в качестве физиологических регуляторов и сенсоров клеточных стресс-индуцированных повреждений и гипоксии11. В ходе новейших исследований12 сукцинатный рецептор SUCNR1 был обнаружен и в коже, методом иммуногистохимии его удалось идентифицировать в фибробластах, кератиноцитах, эндотелиоцитах, тучных клетках и, с наибольшем уровнем экспрессии – в макрофагах. Настоящим прорывом стали исследования, доказывающие, что рецепторы SUCNR1 вовлекаются в регуляцию смены фаз воспаления и формирование М2-фенотипа макрофагов (противовоспалительный тип), реализующих экспрессию широкого спектра факторов, которые реализуют механизмы ангиогенеза, пролиферации фибробластов, формирования дермального матрикса, что в целом влияет на скорость и качество репаративных процессов в коже. Именно поэтому макрофаги стали рассматриваться как главная точка воздействия для стимуляции редермализации кожи12.

Известно, что маркерами М2-фенотипа макрофагов являются такие факторы роста, как VEGF, TGFb1, FGF2. В ходе второго этапа исследования на базе института Hyalual была установлена четкая связь между введением сукцинатсодержащих препаратов и индукцией сукцинатного рецептора SUCNR1/GPR91, а также всех исследованных ростовых факторов (VEGF, FGF2, TGFb1). Слабая индукция ростовых факторов наблюдалась в контрольных группах (введение физ. раствора, гиалуроновой кислоты, пептидсодержащего препарата) и не была связана с индукцией рецептора SUCNR113.

Поэтому можно сделать вывод, что сукцинат (янтарная кислота) в синергии с гиалуроновой кислотой действует на все патогенетические механизмы старения кожи. Научные исследования подтверждают, что количество фибробластов при использовании монопрепарата гиалуроновой кислоты увеличивается в меньшей степени, чем при использовании препарата с комбинацией гиалуроновой кислоты и сукцината (100 и 185 % соответственно)14.

Клиническое исследование

Мы представляем результат инициативного исследования, проведенного специалистами Клиники профессора Юцковской.

Использование Hyalual Perfoskin Соmplex в области лица (1,2 мм).

Было отобрано 5 испытуемых, которым произведено 5 процедур микронидлинга, в соответствии с рекомендациями производителя, с фиксацией результатов до/после посредством 3D-диагностики кожи на аппарате LiveVizz.

Протокол проведения процедуры в зоне лица:

  1. Очищение кожи и обработка поверхности дезинфицирующим раствором;
  2. Аппликационная анестезия.
  3. Проведение процедуры. Работа продуктом Perfoskin производится в линейной технике по линиям натяжения кожи (линии Лангера) и во взаимно-перпендикулярном направлении, 10-15 проходов по каждой зоне – нижняя челюсть, щечно-скуловая область, область лба. После проведения процедуры зона лица повторно обрабатывается дезинфицирующим раствором, остатки вещества удаляются с поверхности кожи.
  4. Для усиления эффекта возможно нанесение WoW mask, Hyalual или постпроцедурного спрея Profi Delux.
  5. В ходе исследования процедуру завершали нанесением спрея.
  6. Оптимальный курс – 1-2 процедуры ежемесячно.

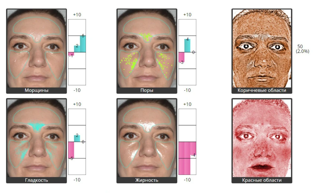
По результатам 3D-диагностики наблюдались следующие клинические эффекты:

  1. Уменьшилась выраженность носогубной складки и показатели пигментации, а также увеличились показатели гладкости кожи – у первого испытуемого.
  2. Уменьшилась выраженность морщин, носогубной складки, жирность и пористость кожи, а также выраженность пигментации – у второго испытуемого.
  3. Снизилась жирность кожи и наблюдался выраженный лифтинг-эффект в подбородочной области – у третьего испытуемого.
  4. Уменьшилась выраженность носослезной борозды, снижение чувствительности кожи и сосудистых реакций – у четвертого испытуемого.
  5. Разглаживание рубчиков постакне и снижение жирности кожи – у пятого испытуемого.

Клинические случаи

Клинический случай 1

Испытуемый 1, Ж, 42 года. Жалобы: повышенная жирность кожи, тусклый цвет лица, потеря тонуса в нижней трети лица.

...
3D-диагностика до
...
3D-диагностика после

Мы можем наблюдать значительные улучшения по таким показателям, как жирность, поры, морщины и эластичность.

Фотографии сделаны в программе QuantifiCare

...
До
...
После

Обратите внимание на область «второго подбородка».

Фотографии сделаны в программе QuantifiCare

...
До
...
После

Модель отмечает улучшение цвета лица, снижение жирности кожи, уменьшение пор и сглаженность рельефа.

Клинический случай 2

Испытуемый 2, Ж, 27 лет. Жалобы: периодическое покраснение лица, чувствительность кожи, потеря тонуса и «уставший вид».

...
3D-диагностика до
...
3D-диагностика после

Отмечена положительная динамика сосудистых реакций, а также улучшение показателей жирности, пор, морщин и эластичности.

Фотографии сделаны в программе QuantifiCare

...
До
...
После

Заметна положительная динамика в периорбитальной зоне, лицо не выглядит уставшим за счет сглаживания носослезной борозды, модель также отмечает снижение отечности и улучшение тонуса кожи.

Клинический случай 3

Испытуемый 3, Ж, 28 лет. Жалобы: расширенные поры, повышенная жирность кожи, рубчики постакне.

...
3D-диагностика до
...
3D-диагностика после

Улучшения показателей «поры», «морщины» и «гладкость», также клинически модель наблюдала снижение жирности кожи.

Фотографии сделаны в программе QuantifiCare

...
До
...
После

Несомненно, отдельного рассмотрения заслуживает область локализации рубчиков постакне. Мы можем наблюдать значительные клинические улучшения состояния рубцов.

Кроме того, данная методика применима к работе и с периорбитальной областью. В клиническом наблюдении на модели 39 лет отчетливо виден лифтинг в области верхнего века. Сравнивался результат до и через 7 дней после процедуры.

Выводы

Несомненными преимуществами процедуры с Perfoskin Complex являются:

  1. Отсутствие реабилитационного периода, в том числе папул, гематом, отечности.
  2. Продолжительность процедуры сокращается в 3 раза.
  3. Объем геля в 5 мл помимо области лица позволяет провести процедуру на шее и декольте.
  4. Сочетание двух классов воздействия на неоколлагенез и качество кожи в одной процедуре: (а) сукцинат в составе геля; (в) 30-кратное увеличение количества проколов (около 6000 за одну процедуру).
  5. Возможность работы с двумя слоями кожи (дерма и эпидермис) в трех зонах (лицо, шея, декольте) за одну процедуру.

В результате использования врач и пациент достигают нужных результатов за тот же период времени, что и при применении более инвазивных методов, но с меньшей травматизацией, не лишая пациента его привычной социальной жизни, и с наименьшими затратами времени на процедуру.

Мы будем продолжать изучать препарат Perfoskin, так как малоинвазивные и эффективные методы – редкость в практике врача-косметолога. И тем не менее их требуют современные тенденции развития запроса пациента.

Источники:

  1. Герасименко НФ. 4П-Медицина – новое направление развития здравоохранения : Федеральный справочник. М., 2012.
  2. Prejuvenation Becomes A Millennial Mainstay // Prime Journal. 2019. Feb 7. URL: https://www.prime-journal.com/prejuvenation-becomes-a-millennial-mainstay/
  3. Fernandes D. Minimally invasive percutaneous collagen induction. Oral Maxilolofac Surg Clin North Am.2005 Feb; 17(1): 51-63.
  4. Андрашко ЮВ, Андрашко ИА, Яремкевич РР. Новый взгляд на возможности микронидлинга: микроигольчатая редермализация кожи различных участков тела // ЕСТЕТИЧНА ДЕРМАТОЛОГІЯ. 2017. № 1 (75), с. 54-58.
  5. Campisi J. Mollecular mechanisms of intrinsic aging. Ann Dermatol Venerol 2002; 129.
  6. Наумчик ГА, Юцковская ЯА. Комбинированные инъекционные препараты «Гиалуаль» для профилактики и коррекции возрастных изменений кожи // Инъекционные методы в косметологии. 2014. № 2.
  7. Полосьянц ОБ, Силина ЕГ, Верткин АЛ. Метаболический препарат Нейрокс для терапевта // Справочник поликлинического врача. 2010; 3.
  8. Деркач НН, Коржов МВ, Скородед ТМ, Коржов ВИ. Реактивация метаболической активности кожи // Український журнал дерматології, венерології, косметології. 2010; 2: 64–70.
  9. Кондрашова МН. Выяснение и наметившиеся вопросы на пути исследования регуляции физиологического состояния янтарной кислотой //Тр. ин-та биофизики АН СССР. Пущино, 1976. C. 8-30.
  10. Деркачев ЭФ. Биохимические основания к клиническому применению дикарбоновых и трикарбоновых кислот // Терапевтическое действие янтарной кислоты. Пущино, 1976. C. 36-48.
  11. Оковитый СВ, Радько СВ, Шустов ЕБ. Сукцинатные рецепторы (SUCNR1) как перспективная мишень фармакотерапии // Химико-фармацевтический журнал. 2015. Т. 49, № 9.
  12. Littlewood-Evans et al. GPR91 senses extracellular succinate released from inflammatory macrophages and exacerbates rheumatoid arthritis. J Exp Med 2016 08 1;213(9):1655-62. Epub 2016 Aug 1.
  13. Кирова ЮИ, Куприянова АВ. Репрограммирование дермы как важнейший этап репарации и реновации кожи // Les Nouvelles Esthetiques. 2019. № 4-5 (21).
  14. Abstract reflections about collagen-induction-therapy (CIT). A hypothesis for the mechanism of action of collagen induction therapy (CIT) using micro-needles / 1st edition, February 2006. 2nd revision, January 2007.

Еще по теме